Més calor, més perill: segons un nou estudi, el canvi climàtic està creant huracans més forts i devastadors

També adverteix sobre altres riscos, com la possibilitat de "ciclons consecutius", que impedeixen a les comunitats recuperar, o l'ocurrència d'altres esdeveniments extrems, com les onades de calor, després d'un huracà.

|
Huracan ep
També adverteix sobre altres riscos, com la possibilitat de "ciclons consecutius", que impedeixen a les comunitats recuperar, o l'ocurrència d'altres esdeveniments extrems, com les onades de calor, després d'un huracà. ( Foto X)

 

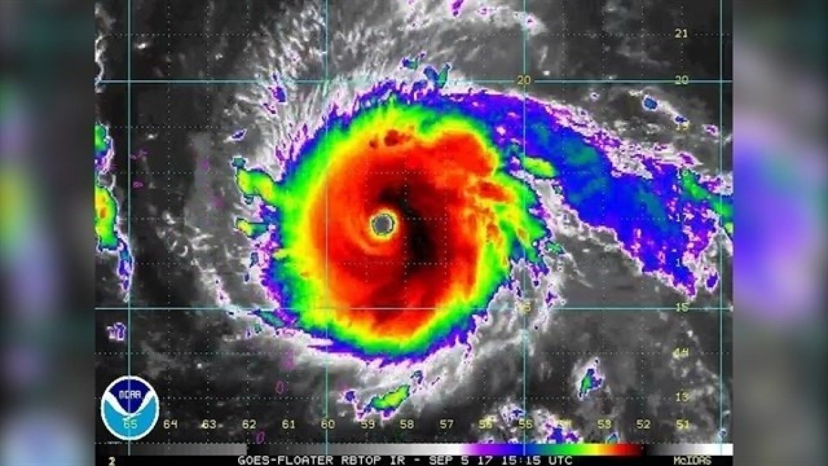
Segons un estudi recent, la probabilitat que ocorrin huracans majors va augmentar un 22% entre 1979 i 2017.L'augment de les temperatures globals està modificant radicalment la naturalesa dels huracans. La temporada d'huracans a l'Atlàntic, que tradicionalment va de juny a novembre, està experimentant canvis significatius. En set dels últims deu anys, s'ha format almenys una tempesta amb nom abans de l'1 de juny, alguna cosa que només havia ocorregut tres vegades en la dècada anterior. Els huracans no sols són més freqüents en dates primerenques, sinó que també són més poderosos, més lents i s'intensifiquen més ràpid.

 

 

 Més forts i més ràpids

 Un fenomen especialment preocupant és la "intensificació ràpida", on una tempesta augmenta la seva categoria de manera abrupta. Per exemple, l'Huracà Helene, al setembre de 2024, va passar de categoria 1 a 4 en un sol dia, una velocitat d'intensificació que redueix dràsticament el temps de preparació per a les comunitats costaneres.A aquesta intensificació se li suma un altre factor de risc: els huracans es mouen més lentament, la qual cosa augmenta el temps en què els vents forts i les pluges torrencials afecten una mateixa zona, incrementant el risc d'inundacions.

El combustible del canvi climàtic

La ciència és clara: el principal motor d'aquests canvis són els oceans més càlids. Els oceans absorbeixen el 90% de l'excés de calor del món, i l'aigua més calenta actua com a "combustible" perquè les tempestes creixin i s'enforteixin. Una atmosfera més càlida també reté més humitat, proporcionant encara més energia al sistema. Les mars més càlides en profunditat també contribueixen a una intensificació més ràpida.

 

 

A més, l'augment del nivell de la mar empitjora les marees de tempestat, fent que les inundacions siguin més devastadores, com es va veure amb l'huracà Katrina.

El futur del clima i l'augment dels riscos

L'Administració Nacional Oceànica i Atmosfèrica dels EUA (NOAA) projecta que, encara que el nombre total de ciclons tropicals no canviï, la proporció de tempestes més fortes, de categoria 4 o 5, probablement augmentarà. Davide Faranda, director de recerca en el Centre Nacional de Recerca Científica de França, adverteix que si no es deté la crema de combustibles fòssils, el nombre d'huracans que superen el llindar de “major” continuarà incrementar. També adverteix sobre altres riscos, com la possibilitat de "ciclons consecutius", que impedeixen a les comunitats recuperar, o l'ocurrència d'altres esdeveniments extrems, com les onades de calor, després d'un huracà. La recerca també indica que el rang geogràfic dels huracans s'expandirà, posant a milions de persones més en risc. El mal econòmic per aquestes tempestes podria duplicar cada generació a causa del creixement de la població i l'expansió de la infraestructura en les zones costaneres.

 

Sense comentarios

Escriu el teu comentari




He leído y acepto la política de privacidad

No está permitido verter comentarios contrarios a la ley o injuriantes. Nos reservamos el derecho a eliminar los comentarios que consideremos fuera de tema.
ARA A LA PORTADA
ECONOMÍA